2017年12月05日 16:14
來源:映象網-農村廣播

最近一段時間,全國各地迎來降溫,大大小小的寒潮是一股又一股,人們可以依靠神器“秋褲”抵御寒冷,大棚中的蔬菜,雖然有大棚保護,但是這樣的天氣仍有可能會給作物生長帶來不利的影響。如何度過寒冷的冬季,是農民朋友,最為關心的問題。農村廣播《綠色生鄉》邀請到鄭州亮點作物保護技術有限公司總經理許一凡為農民朋友講一講冬季農作物如何防凍抗凍。
首先我們要了解寒潮對農業生產造成的不利影響有哪些

1、作物直接受到凍害
當氣溫急速降低后,作物可直接受到凍害,如當氣溫降至8℃以下后,部分作物基本停止生長,當氣溫降至0℃以下,受害嚴重的植株會因水分嚴重失衡而死亡。緩慢低溫所引起的萎蔫往往發生在連續陰天的時候,這時氣溫并不一定降到0℃以下,但是由于長時間的低溫、寡照,根系吸收功能受阻。這種冷害往往使植株先變黃,持續時間長了植株自上而下逐漸發生萎蔫。

2、地溫降低、根系吸收肥水能力下降
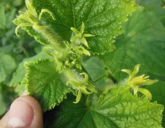
當氣溫降低后,尤其是伴隨雨雪天氣發生時,由于太陽光輻射減少會導致地溫降低,這樣一來植物的地上組織和地下根系的呼吸作用都會下降,呼吸下降后生理代謝就會緩慢,植物吸收肥水的能力就會減弱,如果此時作物正處于苗期則易出現僵苗的現象;如果處于開花座果期,則常常表現為各種生理性病害的發生,如花打頂。這種癥狀在黃瓜等瓜類蔬菜上最為常見,即植株的生長點積在大量雌花或小瓜,植株停止生長?;ù蝽數某霈F是由于低溫促使了花芽過度分化,雌花數量增加,而植株缺乏足夠的養分供其生長,蔓不能伸長,造成雌花生在在植株的頂端。

3、作物抗性下降,病害高發
當氣溫急速下降后,作物的抗病能力會下降,如果適逢陰雨或雨雪天氣,大棚里通常光照不足,濕度很大,植物葉片容易出現水膜、水滴,這樣就極其容易導致霜霉病、晚疫病、灰霉病等各種病害的發生。

如何應對寒潮的不利影響?許總建議廣大農戶,應該把冷害的預防和解救冷害貫徹在整個栽培過程中,主要的措施有以下幾個方面:
1、做好保溫措施
根據天氣情況,及時拉放草氈子,如果有條件還可以使用雙層膜、生爐子等方式增溫、保溫。
2、盡量保證光照
如果遭遇連續雨雪天氣,氣溫極低難以揭開草氈子,則可以通過大棚里點燈泡等方式合理補充光照,增加光合作用以供生長需要,如氣溫允許,即使是陰天也要揭開草氈子,避免作物長期處于陰暗環境。
3、合理補充水肥,做好病害預防工作
在較為寒冷的條件下,作物的根系越弱、體內自由水含量越多,就越容易受凍,這就要求我們避免澆大水,避免過量施用氮肥,另外,在寒流剛剛過后植物相對比較脆弱,也應避免大肥大水。
4、合理使用具有防寒抗凍功能的肥料
合理使用具有防寒抗凍功能的肥料,通過調節植物體內自由水和束縛水的比例,促進根系生長等方面來提高植物的防寒抗凍能力,在寒流來臨之前使用會起到一定的防寒抗凍作用,在寒冷來臨之后使用可促進植物恢復生長。
相關新聞
更多>>